Saltar a contenido
Portada
Política
Mundo
Deporte
Opinión
Cultura
Verifica
Radio
Emergentes
Local
apuntes
Podcasts
Más
Ambiente
Ciencia
Economía
Educación
Feminismos
Justicia
Salud
Trabajo
del día
de la semana
Colonia
Maldonado
Ingresá
Suscribite
Menú
Cerrar
Ingresá
Suscribite
Inicio
Portada
Áreas
Política
Mundo
Deporte
Opinión
Cultura
Futuro
Verifica
Cotidiana
Libros
Carnaval
Emergentes
Ambiente
Ciencia
Economía
Educación
Feminismos
Justicia
Salud
Trabajo
Local
Colonia
Maldonado
Paysandú
Salto
Más
Buscar
Radio
Especiales
Lo más leído
En vivo
Apuntes del día
Apuntes de la semana
Le Monde
Lento
Gigantes
Fotografía
Humor
Crucigramas
Archivado
Eventos
Beneficios
Premio
Escuchar
Podcasts
Edición papel
Seguinos
X
Facebook
Instagram
Telegram
TikTok
Newsletters
RSS
Más plataformas
Ayuda
Centro de ayuda
Tutoriales
Accesibilidad
Privacidad
Contacto
Nosotros
Sobre la diaria
Equipo
Historia
Ícono campana
Activá nuestras notificaciones y
enterate antes
Activar
No, gracias
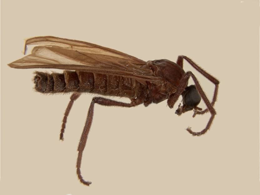
20260107 ciencia Plecia gibbosa
Publicado 8 de enero de 2026 a las 12:34
Mosca del amor _Plecia gibbosa_.
Portada
Lo más leído
Apuntes
Radio
Menú